|
A hike to Public Waterhole takes you far away from everybody else and provides a very different experience than what most people expect of Steens Mountain that. On a trip to Public Waterhole you will not be entering the glacial gorges or meandering through the alpine meadows visited by vehicle borne tourists. Instead you will travel into the wide spaces of sagebrush steppe where pronghorn and deer have replaced the cattle that once dominated the scene. It is a landscape rich in western history and paleolithic dreams. The views are stupendous, the solitude outstanding.
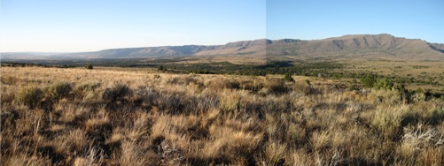
The view shown at right is from high on the slopes of Ankle Mountain looking south. Public Waterhole which lies at the base of the high bluff in the distant upper right hand skyline. The mouth of Wildhorse Canyon lies to the left, with Pueblo Mountain on the far horizon.
Please note: The following description is being presented for your convenience. We bear no responsibility for how you use the information. Since conditions change often it is strongly recommended that you inquire for up-to-date information before you travel in this area. This is desert, after all. It can be hot, dry, demanding and remote. The nearest Search and Rescue team is based more than 100 miles away.
|
|
Llama Pack Trip: Public Waterhole
An old jeep track will lead you all the way from South Steens Campground to the Public waterhole. While no longer used by vehicles in this official Wilderness area, the tread is still easily distinguishable. It makes a good route for llama packing. The route rambles over a wide-open and rolling landscape. Appearing flat from a distance, it actually includes a number of small steep hills into and out of the creek valleys. Good campsites with plentiful water can be found along those creeks and forage opportunities for the llamas are good. Stands of aspen can be found along upper Ankle Creek and at Public Waterhole with others scattered in moist areas. No cross-country travel is required on this route, but there is plenty opportunity to strike out in whatever direction you choose.
Rocky footing, difficult creek crossings in periods of high run-off and hordes of mosquitos are hazards you may encounter. This is also an area where wildfire plays an active roll in the landscape. Hikers are well advised to plan safe excape routes in case of the need for hasty retreat. Any llama not conditioned to rocky terrain can be expected to have trouble here. It is advisable to toughen feet before the trip.
Note that the very straight dashed lines on the map at left represent fences, most of which have been removed since Wilderness designation.
|
Public Waterhole lies at about 7000 feet. Getting there via jeep track from South Steens Campground involves a hike of slightly over fourteen miles with a cumulative elevation gain of about 2500 feet. The cumulative elevation loss is about 900 feet, with the total change in elevation about 1650 feet. Hills in and out of the creek bottoms range from 6% to 8% grade for four to five hundred feet. They are less than a mile in length. A round trip on this route will be nearly thirty miles long, but with interesting side trips in abundance, it could be much longer.

If one is inclined to wander north from Public Waterhole, Penland Meadows and a hike along the rim of Wildhorse Canyon well worth exploring.
The images above show a late summer views of the mouth of Big Indian Gorge and the slopes of Ankle Mountain from points along the hike described.
|
|
Back to Top
Website update: 02FEB2022
© Burns Llama Trailblazers LLC herd@burnsllamatrailblazers.com
|
|